New Search Family, Subfamily and Tribe List

SubFamily Cerambycinae

Tribe Stenhomalini
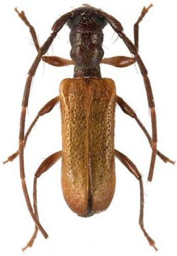
Stenhomalus floreni Holzschuh 2014

Specimen Type: holotype
Sex: m
Institution: Holzschuh Collection
Determiner: Zeistschrift AEG
Collection Location: Crocker Range, Sabah, Borneo
58814

130425