_Holz_CHS_Ban_Saluei_Mt_Phou_Pan_Hua_Phan_Prov_Laos.jpg)
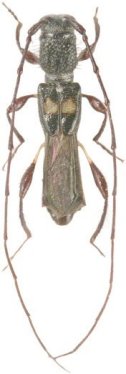
Glaphyra propinqua Holzschuh Specimen Type: holotype Sex: m Institution: Holzschuh Collection Photographer: Lubo Dembický Determiner: Les Cahiers Magellanes Collection Location: Ban Saluei, Mt Phou Pan, Hua Phan Province, Laos 58410
|
_Holz_CHS_Ban_Saluei_Mt_Phou_Pan_Hua_Phan_Prov_Laos.jpg)
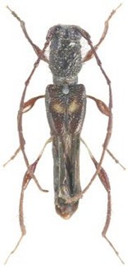
Glaphyra propinqua Holzschuh Specimen Type: paratype Sex: f Institution: Holzschuh Collection Photographer: Lubo Dembický Determiner: Les Cahiers Magellanes Collection Location: Ban Saluei, Mt Phou Pan, Hua Phan Province, Laos 58411
|