 Olivier Montagne des Chevaux, French Guiana Robin.jpg)
Sex: m Photographer: Frédéric Robin Collection Location: Montagne des Chevaux, French Guiana 80547
|
 Oliv Balate Creek, Saint Laurent du Maroni, French Guiana Robin.jpg)
Sex: f Photographer: Frédéric Robin Collection Location: Balate Creek, Saint Laurent du Maroni, French Guiana 80548
|

Photographer: Jean-Louis Giuglaris Collection Location: Papaicheton, French Guiana 29271
|
_(Olivier)_BMNH_Hespenheide_FTH_Cayenne.jpg)
Institution: BMNH British Museum Natural History, London, UK Photographer: Henry Hespenheide Collection Location: Cayenne, Brazil 18298
|
_MNHN_Tav.jpg)
Institution: MNHN Museum of Natural History Paris, France Photographer: Gerard Tavakilian 18299
|
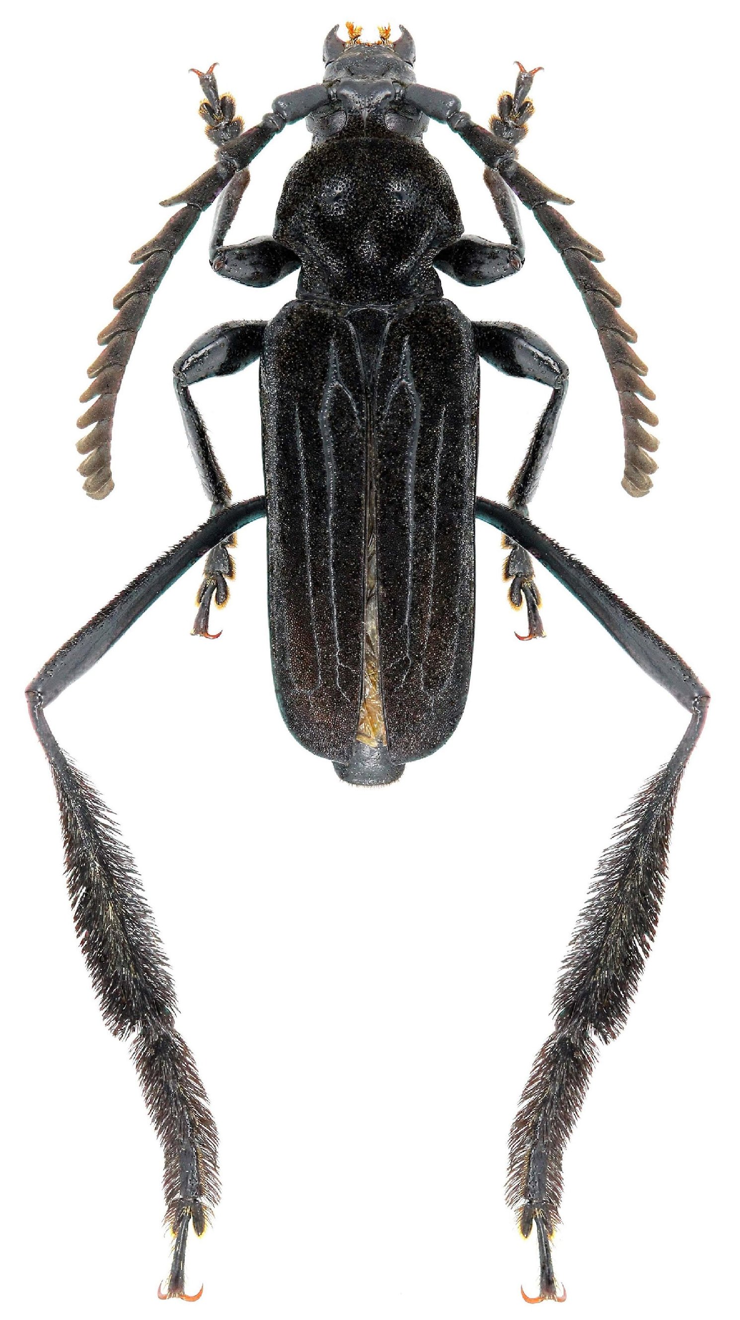
.jpg)
12447
|
_Cerro_Chucanti_Panama_LGB.jpg)
Sex: m Institution: Bill Tyson Collection Photographer: Larry G. Bezark Determiner: Larry Bezark Collection Location: Cerro Chucanti, 15 km W Torti, Darien, Panama 48858
|
_Kaw_Fr_Guiana_Morvan_photo.jpg)
Photographer: Odette Morvan Collection Location: Kaw, French Guiana 25218
|
|