New Search Family, Subfamily and Tribe List

SubFamily Cerambycinae

Tribe Trachyderini Trachyderina
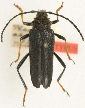
Phaedinus abnormalis Tippmann 1953

Specimen Type: holotype
Sex: f
Institution: NMNH United States National Museum, Washington, DC, USA
Collection Location: São Bento do Sul, Santa Catarina, Brazil
26344

130425