 SS Van Roie Jocque IRSNB Cusuco NP, Cortes, Honduras.jpg)
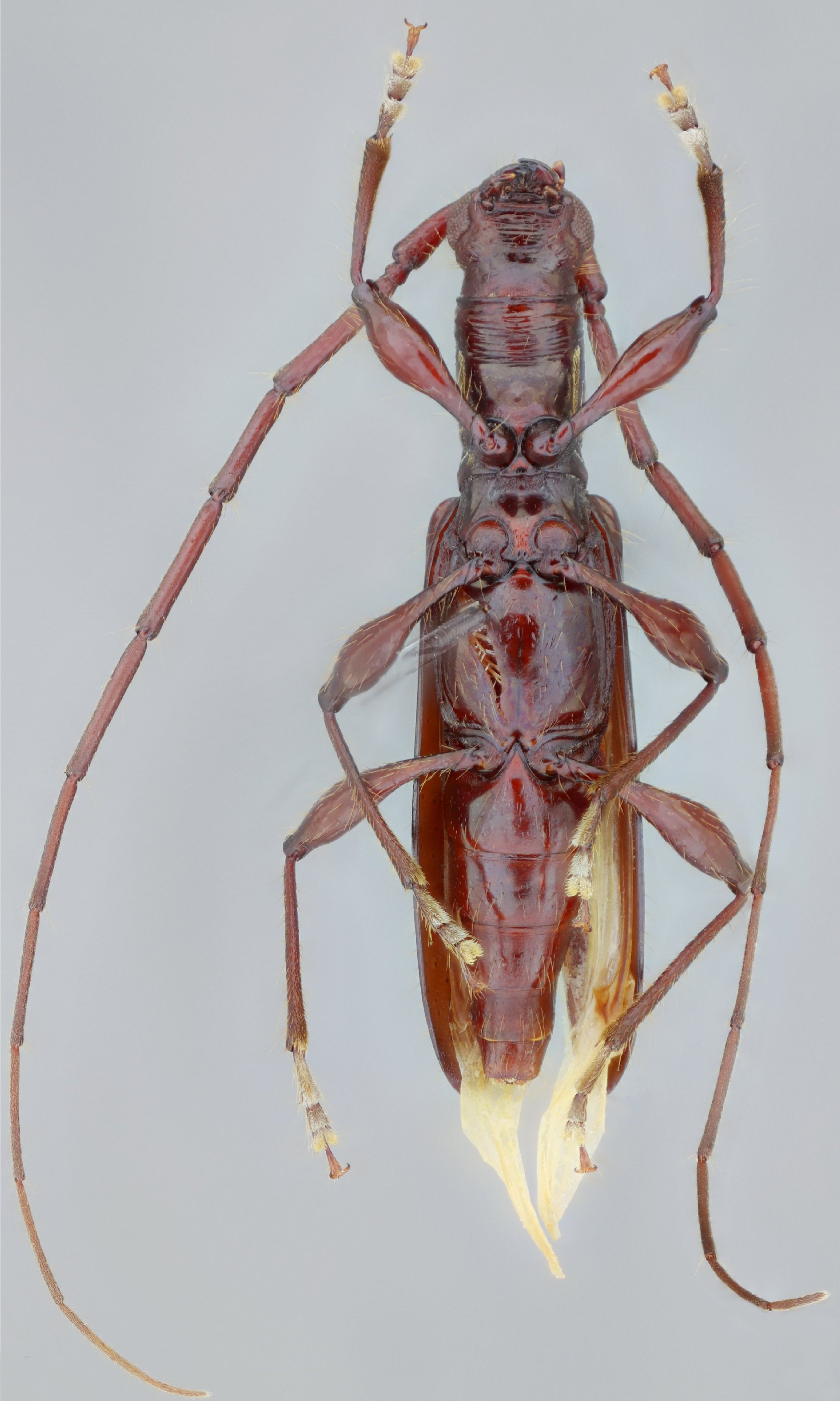
Specimen Type: holotype Sex: m Institution: IRSNB Royal Belgian Institute of Natural Sciences, Brussels, Belgium Photographer: Antonio Santos-Silva Collection Location: Cusuco National Park, Cortes, Honduras 76194
|
 SS Van Roie Jocque IRSNB Cusuco NP, Cortes, Honduras.jpg)
Specimen Type: holotype Sex: m Institution: IRSNB Royal Belgian Institute of Natural Sciences, Brussels, Belgium Photographer: Antonio Santos-Silva Collection Location: Cusuco National Park, Cortes, Honduras 76195
|
 SS Van Roie Jocque IRSNB Cusuco NP, Cortes, Honduras.jpg)
Specimen Type: holotype Sex: m Institution: IRSNB Royal Belgian Institute of Natural Sciences, Brussels, Belgium Photographer: Antonio Santos-Silva Collection Location: Cusuco National Park, Cortes, Honduras 76196
|
 SS Van Roie Jocque IRSNB Cusuco NP, Cortes, Honduras.jpg)
Specimen Type: holotype Sex: m Institution: IRSNB Royal Belgian Institute of Natural Sciences, Brussels, Belgium Photographer: Antonio Santos-Silva Collection Location: Cusuco National Park, Cortes, Honduras 76197
|
 SS Van Roie Jocque IRSNB Cusuco NP, Cortes, Honduras.jpg)
Specimen Type: holotype Sex: m Institution: IRSNB Royal Belgian Institute of Natural Sciences, Brussels, Belgium Photographer: Antonio Santos-Silva Collection Location: Cusuco National Park, Cortes, Honduras 76198
|
|