New Search Family, Subfamily and Tribe List

SubFamily Lepturinae

Tribe Caraphiini
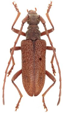
Caraphia lingafelteri Ohbayashi & Yamasako 2016

Specimen Type: holotype
Sex: m
Institution: NMNH United States National Museum, Washington, DC, USA
Photographer: Ohbayashi & Lin
Collection Location: Matagalpa, Nicaragua
53038


Photographer: Steve Lingafelter
Collection Location: Nicaragua
26224


Sex: f
Photographer: Antonio Santos-Silva
68277


Sex: f
Photographer: Antonio Santos-Silva
68278


Sex: f
Photographer: Antonio Santos-Silva
68279


Sex: f
Photographer: Antonio Santos-Silva
68280

130425