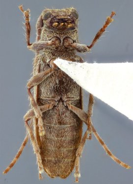
_Gal_SS_MZSP_Punta_Lara_Buenos_Aires_ARG.jpg)
Specimen Type: holotype Sex: f Institution: MZSP Museu de Zoologia da Universidade de São Paulo, Brazil Photographer: Antonio Santos-Silva Collection Location: Punta Lara, Buenos Aires, Argentina 52568
|
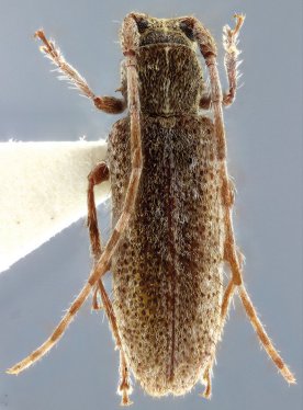
_Gal_SS_MZSP_Punta_Lara_Buenos_Aires_ARG.jpg)
Specimen Type: holotype Sex: f Institution: MZSP Museu de Zoologia da Universidade de São Paulo, Brazil Photographer: Antonio Santos-Silva Collection Location: Punta Lara, Buenos Aires, Argentina 52569
|
_Gal_SS_MZSP_Punta_Lara_Buenos_Aires_ARG.jpg)
Specimen Type: holotype Sex: f Institution: MZSP Museu de Zoologia da Universidade de São Paulo, Brazil Photographer: Antonio Santos-Silva Collection Location: Punta Lara, Buenos Aires, Argentina 52570
|
_Gal_SS_MZSP_Punta_Lara_Buenos_Aires_ARG.jpg)
Specimen Type: holotype Sex: f Institution: MZSP Museu de Zoologia da Universidade de São Paulo, Brazil Photographer: Antonio Santos-Silva Collection Location: Punta Lara, Buenos Aires, Argentina 52571
|
|