_Vives_coll_Mt_Halcon_Mindoro_Philippines.jpg)
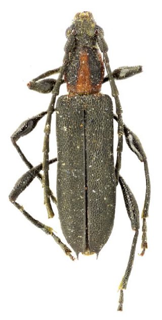
Specimen Type: holotype Sex: m Institution: Vives Collection Photographer: Eduard Vives Collection Location: Mt Halcon, Mindoro, Philippines 75212
|

Institution: DUBC Daugavpils University, Coleopterological Research Center, Latvia Photographer: Arvids Barsevskis Collection Location: Mindoro Island, Philippines 75552
|