
Institution: JCPC Jim Cope Collection, San Jose, California, USA now at CSCA, Sacramento Photographer: Larry G. Bezark Determiner: Riccardo Mourglia Collection Location: Ruaha National Park, Dar es Salaam, Tanzania 99415
|

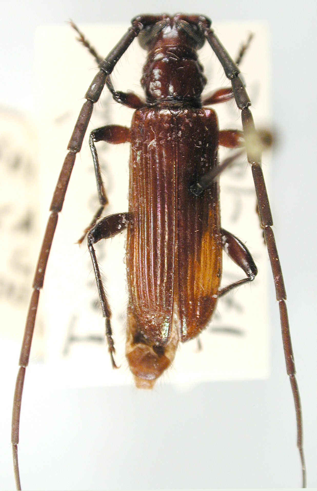
Institution: JCPC Jim Cope Collection, San Jose, California, USA now at CSCA, Sacramento Photographer: Larry G. Bezark Determiner: Riccardo Mourglia Collection Location: Ruaha National Park, Dar es Salaam, Tanzania 99416
|