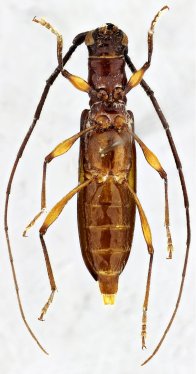
_Mart_Gal_SS_MZSP_Ea_Campo_Grande_Alto_Paraguay_Paraguay.jpg)
Specimen Type: holotype Sex: f Institution: MZSP Museu de Zoologia da Universidade de São Paulo, Brazil Photographer: Antonio Santos-Silva Collection Location: Ea. Campo Grande, Alto Paraguay, Paraguay 51002
|
_Mart_Gal_SS_MZSP_Ea_Campo_Grande_Alto_Paraguay_Paraguay.jpg)
Specimen Type: holotype Sex: f Institution: MZSP Museu de Zoologia da Universidade de São Paulo, Brazil Photographer: Antonio Santos-Silva Collection Location: Ea. Campo Grande, Alto Paraguay, Paraguay 51003
|
_Mart_Gal_SS_MZSP_Ea_Campo_Grande_Alto_Paraguay_Paraguay.jpg)
Specimen Type: holotype Sex: f Institution: MZSP Museu de Zoologia da Universidade de São Paulo, Brazil Photographer: Antonio Santos-Silva Collection Location: Ea. Campo Grande, Alto Paraguay, Paraguay 51004
|
_Mart_Gal_SS_MZSP_Ea_Campo_Grande_Alto_Paraguay_Paraguay.jpg)
Specimen Type: holotype Sex: f Institution: MZSP Museu de Zoologia da Universidade de São Paulo, Brazil Photographer: Antonio Santos-Silva Collection Location: Ea. Campo Grande, Alto Paraguay, Paraguay 51005
|
|