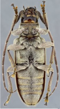
_Gal_Bez_SS_CAS_La_Pila_Manabi_EC.jpg)
Specimen Type: holotype Sex: f Institution: CAS California Academy of Sciences, San Francisco, CA, USA Photographer: Antonio Santos-Silva Collection Location: Vicinity of La Pila, Manabi, Ecuador 50960
|
_Gal_Bez_SS_CAS_La_Pila_Manabi_EC.jpg)
Specimen Type: holotype Sex: f Institution: CAS California Academy of Sciences, San Francisco, CA, USA Photographer: Antonio Santos-Silva Collection Location: Vicinity of La Pila, Manabi, Ecuador 50961
|
_Gal_Bez_SS_CAS_La_Pila_Manabi_EC.jpg)
Specimen Type: holotype Sex: f Institution: CAS California Academy of Sciences, San Francisco, CA, USA Photographer: Antonio Santos-Silva Collection Location: Vicinity of La Pila, Manabi, Ecuador 50962
|
_Gal_Bez_SS_CAS_La_Pila_Manabi_EC.jpg)
Specimen Type: holotype Sex: f Institution: CAS California Academy of Sciences, San Francisco, CA, USA Photographer: Antonio Santos-Silva Collection Location: Vicinity of La Pila, Manabi, Ecuador 50963
|
_Gal_Bez_SS_La_Plla_Manabi_Prov_EC_LGB.jpg)
Specimen Type: paratype Institution: LGBC Larry G. Bezark Collection, Sacramento, California, USA Photographer: Larry G. Bezark Collection Location: La Pila, Manabi Province, Ecuador 54747
|
|