New Search
Family, Subfamily and Tribe List
SubFamily
Lamiinae
Tribe
Hemilophini
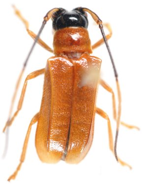
Chrysaperda mimica
Monné & Monné 2015
Specimen Type:
holotype
Sex:
m
Institution:
BMNH British Museum Natural History, London, UK
Collection Location:
Macas, Morona-Santiago, Ecuador
50013
130425