New Search Family, Subfamily and Tribe List

SubFamily Cerambycinae

Tribe Trachyderini Trachyderina
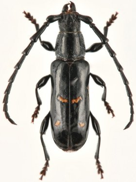
Viracocha limogesi Le Tirant & Santos-Silva 2015

Specimen Type: holotype
Sex: m
Institution: MZSP Museu de Zoologia da Universidade de São Paulo, Brazil
Photographer: Antonio Santos-Silva
Collection Location: Rio Venado, Satipo, Junin, Peru
48213


Specimen Type: holotype
Sex: m
Institution: MZSP Museu de Zoologia da Universidade de São Paulo, Brazil
Photographer: Antonio Santos-Silva
Collection Location: Rio Venado, Satipo, Junin, Peru
48214


Specimen Type: paratype
Sex: f
Institution: MZSP Museu de Zoologia da Universidade de São Paulo, Brazil
Photographer: Antonio Santos-Silva
Collection Location: Rio Venado, Satipo, Junin, Peru
48215


Specimen Type: paratype
Sex: f
Institution: MZSP Museu de Zoologia da Universidade de São Paulo, Brazil
Photographer: Antonio Santos-Silva
Collection Location: Rio Venado, Satipo, Junin, Peru
48216

130425