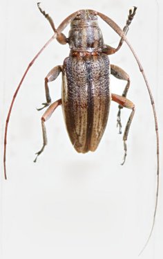
_Audureau_Demez_MNHN_Rio_Venado_Satipo_Junin_Peru.jpg)
Leiopus marcelamonneae Audureau & Demez Specimen Type: holotype Sex: m Institution: MNHN Museum of Natural History Paris, France Photographer: Alain Audureau Collection Location: Rio Venado, Satipo, Junin, Peru 48174
|

Institution: CSCA California State Collection of Arthropods, Sacramento, California Photographer: Larry G. Bezark Collection Location: Napo-Galera National Park, Napo Province, Ecuador 49107
|

Institution: CSCA California State Collection of Arthropods, Sacramento, California Photographer: Larry G. Bezark Collection Location: Napo-Galera National Park, Napo Province, Ecuador 49108
|
|