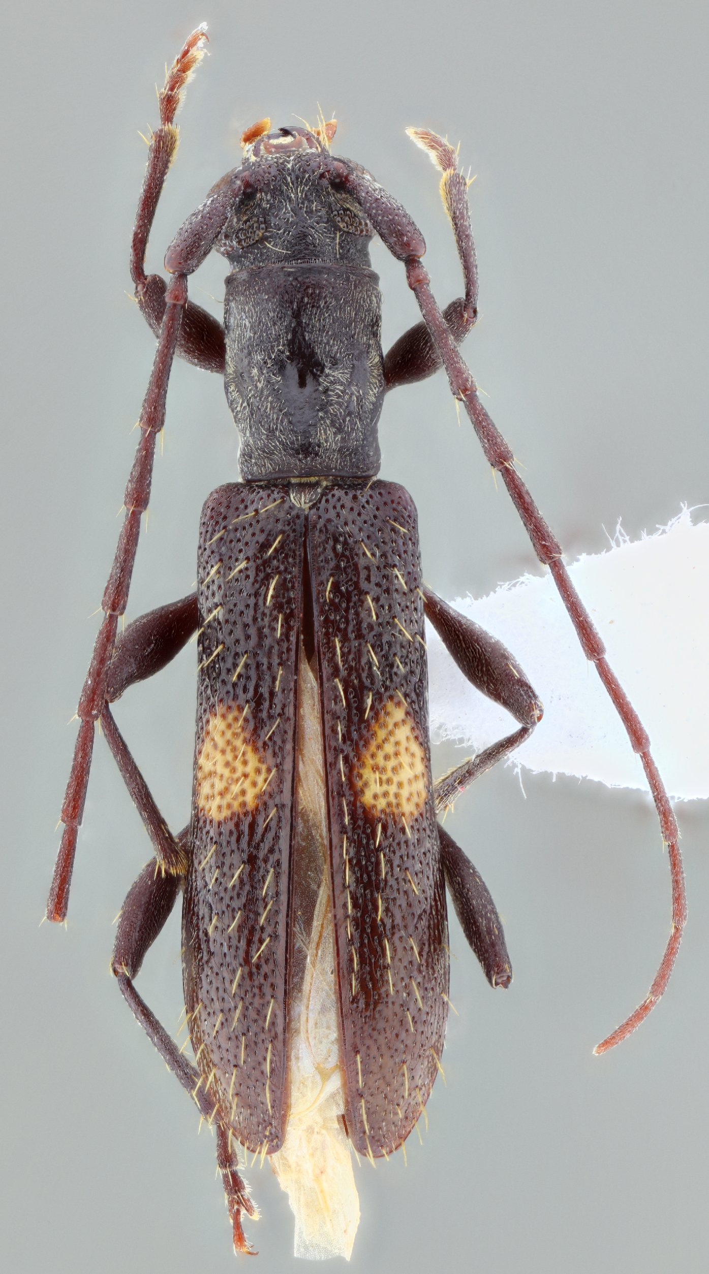
_Mehl_G_M_SS_MZSP_Pres_Hayes_Lolita_(Laguna_Yaragui)_Paraguay_SS.jpg)
Specimen Type: holotype Sex: m Institution: MZSP Museu de Zoologia da Universidade de São Paulo, Brazil Photographer: Antonio Santos-Silva Collection Location: Presidente Hayes, Lolita (Laguna Yaragui), Paraguay 48079
|
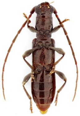
_Mehl_G_M_SS_MZSP_Pres_Hayes_Lolita_(Laguna_Yaragui)_Paraguay_SS.jpg)
Specimen Type: holotype Sex: m Institution: MZSP Museu de Zoologia da Universidade de São Paulo, Brazil Photographer: Antonio Santos-Silva Collection Location: Presidente Hayes, Lolita (Laguna Yaragui), Paraguay 48080
|
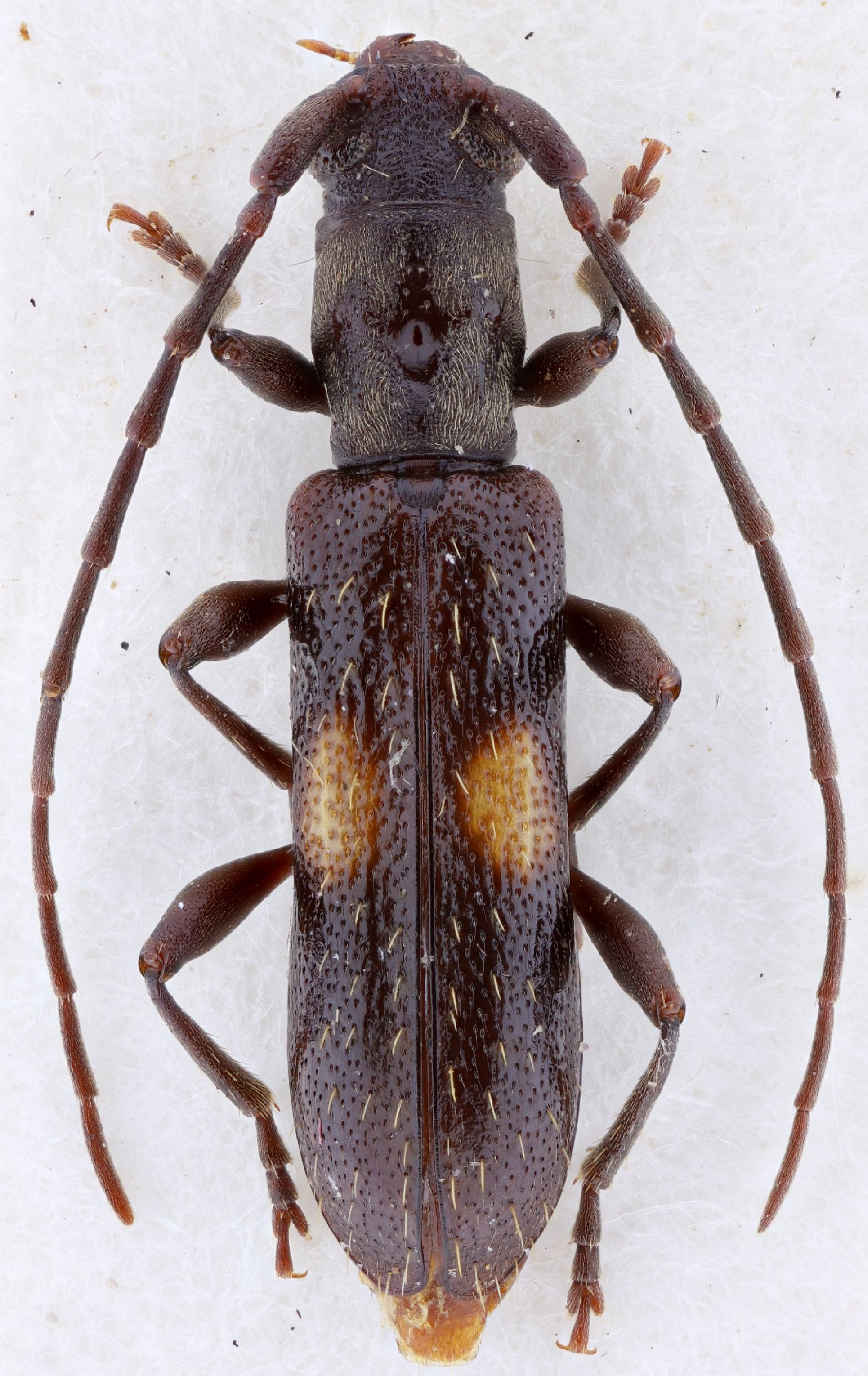
_Mehl_G_M_SS_MZSP_Pres_Hayes_Lolita_(Laguna_Yaragui)_Paraguay_SS.jpg)
Specimen Type: holotype Sex: m Institution: MZSP Museu de Zoologia da Universidade de São Paulo, Brazil Photographer: Antonio Santos-Silva Collection Location: Presidente Hayes, Lolita (Laguna Yaragui), Paraguay 48082
|
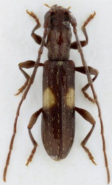
_Mehl_G_M_SS_MZSP_Pres_Hayes_Lolita_(Laguna_Yaragui)_Paraguay_SS.jpg)
Specimen Type: paratype Sex: f Institution: MZSP Museu de Zoologia da Universidade de São Paulo, Brazil Photographer: Antonio Santos-Silva Collection Location: Presidente Hayes, Lolita (Laguna Yaragui), Paraguay 48081
|
 Mehl et al MZSP Lolita, Laguna Yaragui, Pres Hayes, Paraguay SS.jpg)
Specimen Type: paratype Sex: f Institution: MZSP Museu de Zoologia da Universidade de São Paulo, Brazil Photographer: Antonio Santos-Silva Collection Location: Lolita, Laguna Yaragui, Pres Hayes, Paraguay 95996
|
 Mehl Mart SS MEFEIS Sao Roque de Minas, Minas Gerais, Brazil SS.jpg)
Sex: f Institution: MEFE Museu de Ent da Faculdade de Engenharia de Ilha Solteira, Univ Estadual, Sao Paolo, Brazil Photographer: Antonio Santos-Silva Collection Location: Sao Roque de Minas, Minas Gerais, Brazil 81002
|
|