_Gahan_BMNH_Penang_Malacca_LGB.jpg)
Glenea suturalis Gahan Specimen Type: syntype Institution: BMNH British Museum Natural History, London, UK Photographer: Larry G. Bezark Collection Location: Penang, Malacca, Malaysia 47995
|
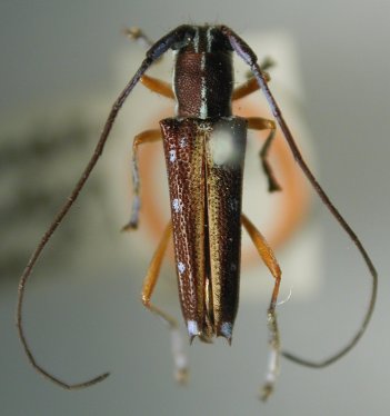
_BMNH_DJH.jpg)
Glenea suturalis Gahan Specimen Type: syntype Institution: BMNH British Museum Natural History, London, UK Photographer: Dan Heffern Collection Location: Penang, Malacca, Malaysia 49958
|
_Gahan_BMNH_Penang_Malacca_JC.jpg)
Glenea suturalis Gahan Specimen Type: syntype Institution: BMNH British Museum Natural History, London, UK Photographer: Jim Cope Collection Location: Penang, Malacca, Malaysia 49957
|

Glenea suturalis Gahan Institution: BMNH British Museum Natural History, London, UK Photographer: Larry G. Bezark Collection Location: Penang, Malacca, Malaysia 47996
|

Institution: MNHN Museum of Natural History Paris, France Photographer: Andreas Weigel Determiner: Breuning 67690
|
|