New Search Family, Subfamily and Tribe List

SubFamily Dorcasominae

Tribe Dorcasomini
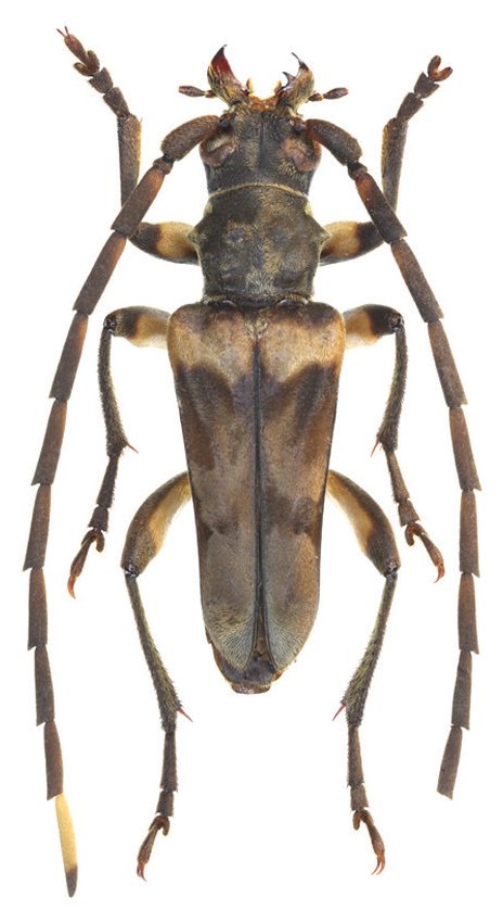
Trypogeus murzini Miroshnikov 2014

Specimen Type: holotype
Sex: m
Institution: Murzin Collection
Collection Location: Phnom Bokor National Park, Cambodia
66403

130425