_Viktora_Coll_Ngoc_Linh_Kon_Tum_Province_ Vietnam_Vikt.jpg)
Specimen Type: holotype Sex: m Institution: Viktora Collection Photographer: Petr Viktora Collection Location: Ngoc Linh, Kon Tum Province, Vietnam 71403
|
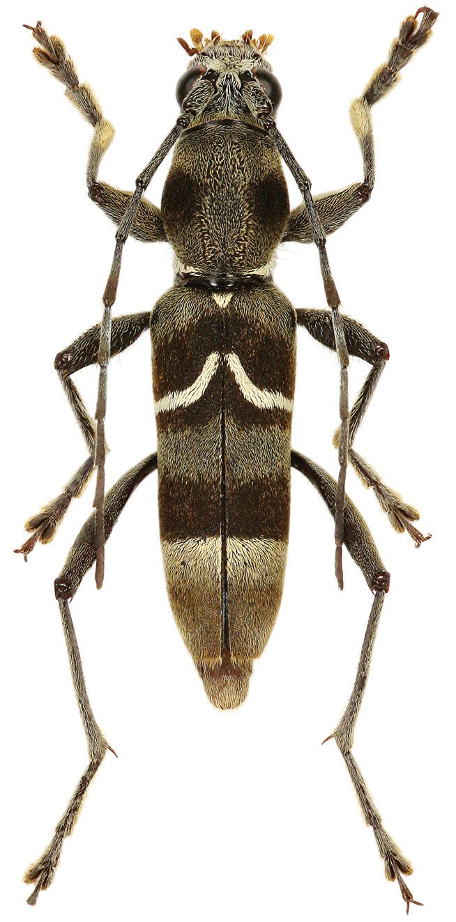
_Viktora_Coll_Ngoc_Linh_Kon_Tum_Province_Vietnam_Vikt.jpg)
Specimen Type: paratype Sex: f Institution: Viktora Collection Photographer: Petr Viktora Collection Location: Ngoc Linh, Kon Tum Province, Vietnam 71404
|

Institution: NMNH United States National Museum, Washington, DC, USA Photographer: Steve Lingafelter Collection Location: Phja-Den, Cao Bang Province, Vietnam 37720
|
|