New Search Family, Subfamily and Tribe List

SubFamily Lepturinae

Tribe Lepturini
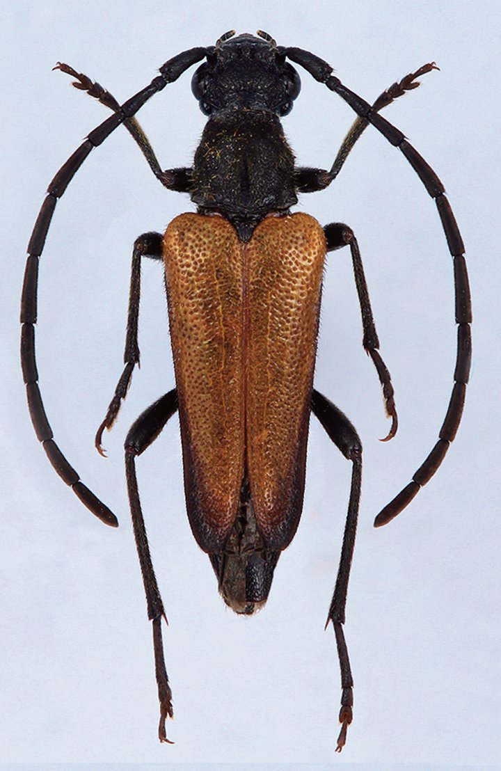
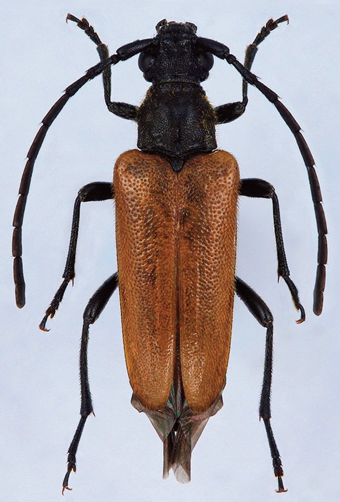
Neopiciella stefaniae Bellavista, Rapuzzi & Sparacio 2020

Specimen Type: holotype
Sex: m
Institution: Bellavista Collection
Photographer: Michelle Bellavista
Collection Location: Mount Inici, Castellammare del Golfo, Trapani, Sicily, Italy
75856


Specimen Type: paratype
Sex: f
Institution: Bellavista Collection
Photographer: Michelle Bellavista
Collection Location: Mount Inici, Castellammare del Golfo, Trapani, Sicily, Italy
75857

130425