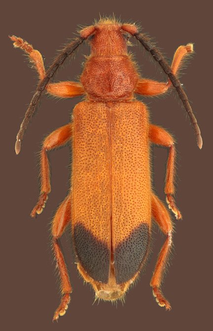
_Niisato_MZBI_Aceh_Sumatra_Indonesia.jpg)
Specimen Type: holotype Sex: f Institution: MZBI Museum Zoologicum Bogoriense, Bogor, Indonesia Photographer: Tatsuya Niisato Collection Location: Aceh, Sumatra, Indonesia 71496
|
_Niisato_Heff_coll_Tongod_Sabah_Borneo.jpg)
Specimen Type: paratype Sex: f Institution: Heffern Collection Photographer: Tatsuya Niisato Collection Location: Tongod, Sabah, Borneo 71497
|