New Search Family, Subfamily and Tribe List

SubFamily Cerambycinae

Tribe Clytini
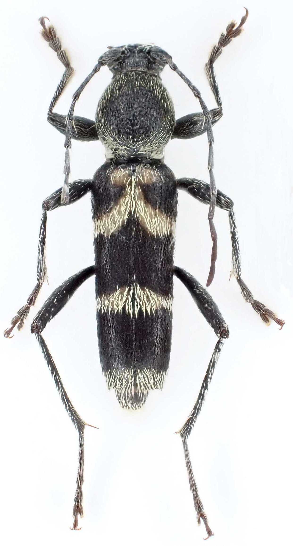
Demonax jeanvoinei Pic 1927

Institution: Gouverneur Collection
Determiner: Xavier Gouverneur, Cerambycoides Forum
Collection Location: Ha Giang, Vietnam
98631

130425