New Search Family, Subfamily and Tribe List

SubFamily Lamiinae

Tribe Agapanthiini
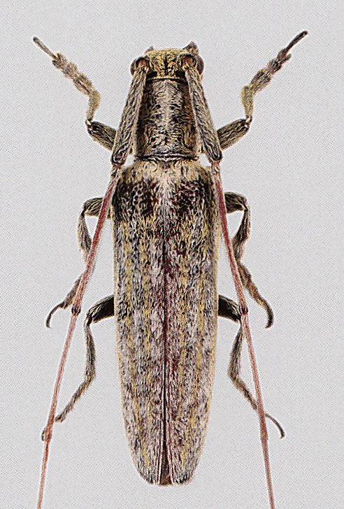
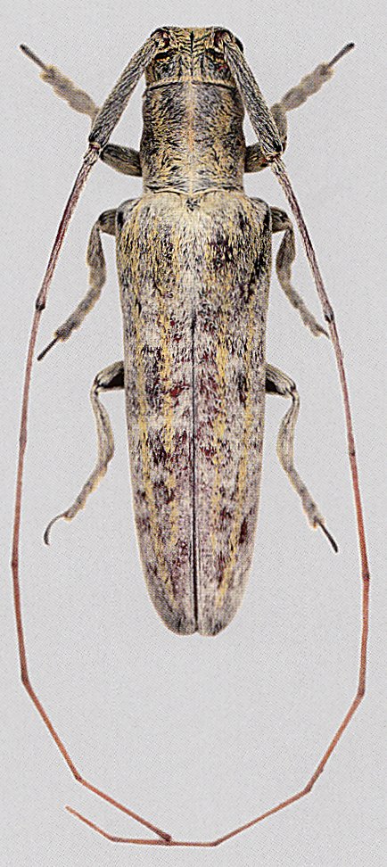
Hyllisia flavovittata Breuning 1961

Sex: m
Photographer: Karl Adlbauer
Collection Location: Ethiopia
72559


Sex: m
Photographer: Karl Adlbauer
Collection Location: Ethiopia
72560


Sex: m
Photographer: Karl Adlbauer
Collection Location: Ethiopia
72561

130425