New Search Family, Subfamily and Tribe List

SubFamily Lepturinae

Tribe Lepturini
Leptura nigroguttata Pic 1927

Specimen Type: lectotype
Sex: m
Institution: MNHN Museum of Natural History Paris, France
Collection Location: Chapa, Tonkin, Vietnam
71554


Specimen Type: lectotype
Sex: m
Institution: MNHN Museum of Natural History Paris, France
Collection Location: Chapa, Tonkin, Vietnam
71555


Leptura fruhstorferi Hayashi & Villiers
Specimen Type: holotype
Sex: m
Institution: MNHN Museum of Natural History Paris, France
Collection Location: Mt Mauson, Tonkin, Vietnam
71552


Leptura fruhstorferi Hayashi & Villiers
Specimen Type: holotype
Sex: m
Institution: MNHN Museum of Natural History Paris, France
Collection Location: Mt Mauson, Tonkin, Vietnam
71553


Leptura pubevirens Gressitt
Specimen Type: holotype
Sex: f?
Institution: AMNH American Museum of Natural History, New York, NY, USA
Collection Location: Xizang Tibet, China
51793


Sex: m
Collection Location: Changtong, Laibin, Jinxiu, Guangxi, China
71556


Sex: m
Collection Location: Gongshan, Laibin, Jinxiu, Guangxi, China
71557


Collection Location: Ban Saluei, Mt Phu Pan, Hua Phan Province, Laos
71558


Institution: LGBC Larry G. Bezark Collection, Sacramento, California, USA
Photographer: Larry G. Bezark
Determiner: Cerambycoidea Forum, Francesco Vitali
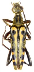
Collection Location: Phja-den, Cao Bang Province, Vietnam
40919


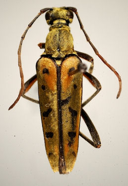
Institution: LGBC Larry G. Bezark Collection, Sacramento, California, USA
Photographer: Larry G. Bezark
Determiner: Cerambycoidea Forum, Francesco Vitali
Collection Location: Phja-den, Cao Bang Province, Vietnam
40920


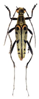
Photographer: Steve Lingafelter
Collection Location: Pia Oac, Cao Bang Province, Vietnam
51791

130425