_Guizhou_Meiying.jpg)
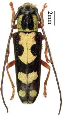
Specimen Type: holotype Sex: m Institution: IZAS Zoological Institute, Chinese Academy of Sciences, Beijing, China Photographer: Meiying Lin Collection Location: Mt Fanjingshan, Guizhou, China 42736
|
_Guizhou_Meiying.jpg)
Specimen Type: paratype Sex: m Institution: IZAS Zoological Institute, Chinese Academy of Sciences, Beijing, China Photographer: Meiying Lin Collection Location: Mt Fanjingshan, Guizhou, China 42737
|