_Yunnan_Meiying.jpg)
Specimen Type: holotype, paratype Sex: mf Institution: IZAS Zoological Institute, Chinese Academy of Sciences, Beijing, China Photographer: Meiying Lin Collection Location: Xishuangbanna, Yunnan, China 42766
|
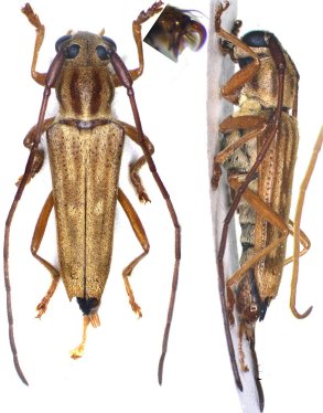
_Yunnan_Meiying.jpg)
Specimen Type: paratype Sex: m Photographer: Meiying Lin 42767
|