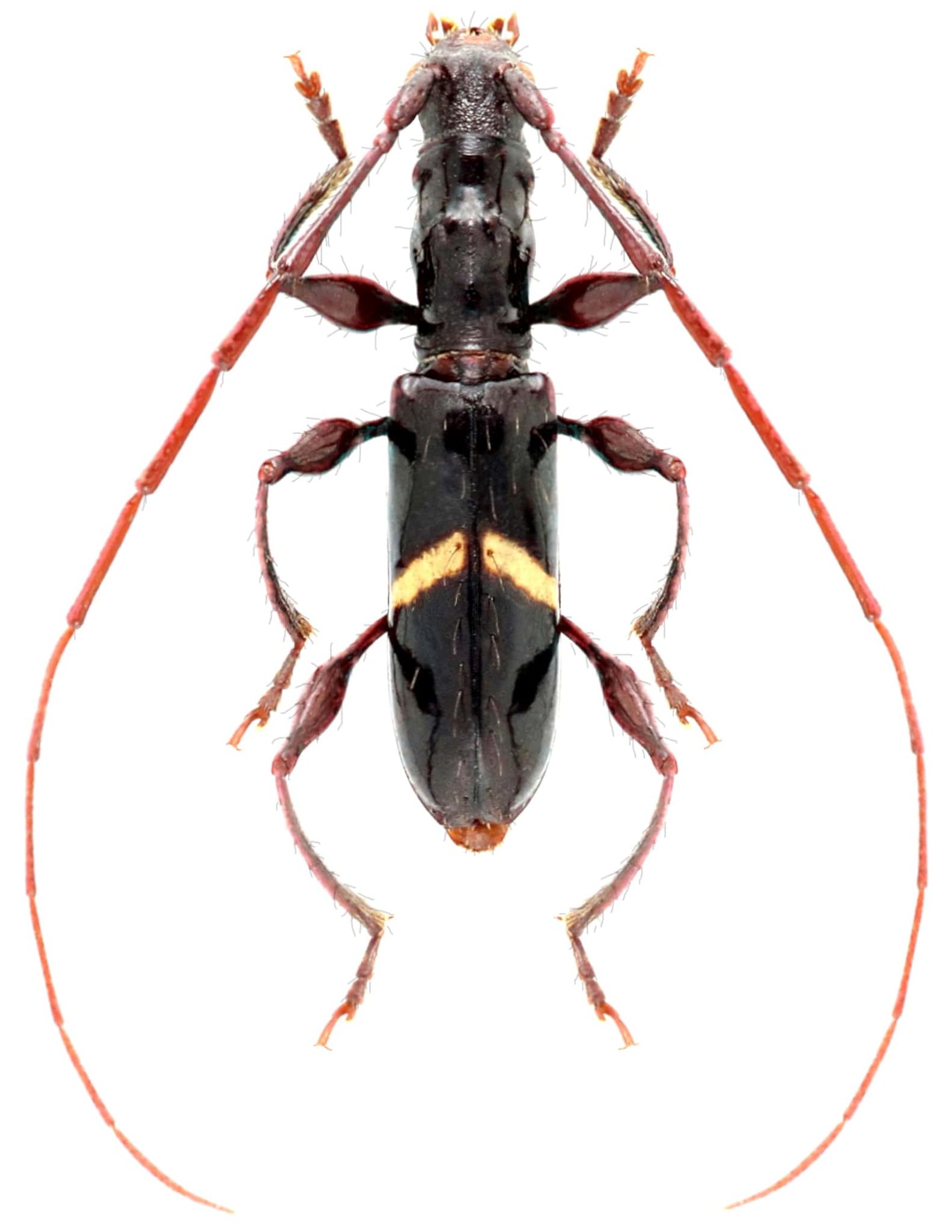
_M_G_CAS_road_to_Kaw_PR-40_French_Guiana.jpg)
Specimen Type: holotype Sex: m Institution: CAS California Academy of Sciences, San Francisco, CA, USA Photographer: Larry G. Bezark Collection Location: road to Kaw, PR-40, French Guiana 44938
|
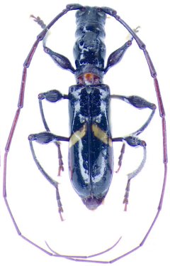
_Mart_Galileo_French_Guiana.jpg)
Specimen Type: holotype Sex: m Institution: CAS California Academy of Sciences, San Francisco, CA, USA Collection Location: road to Kaw, PR-40, French Guiana 42466
|