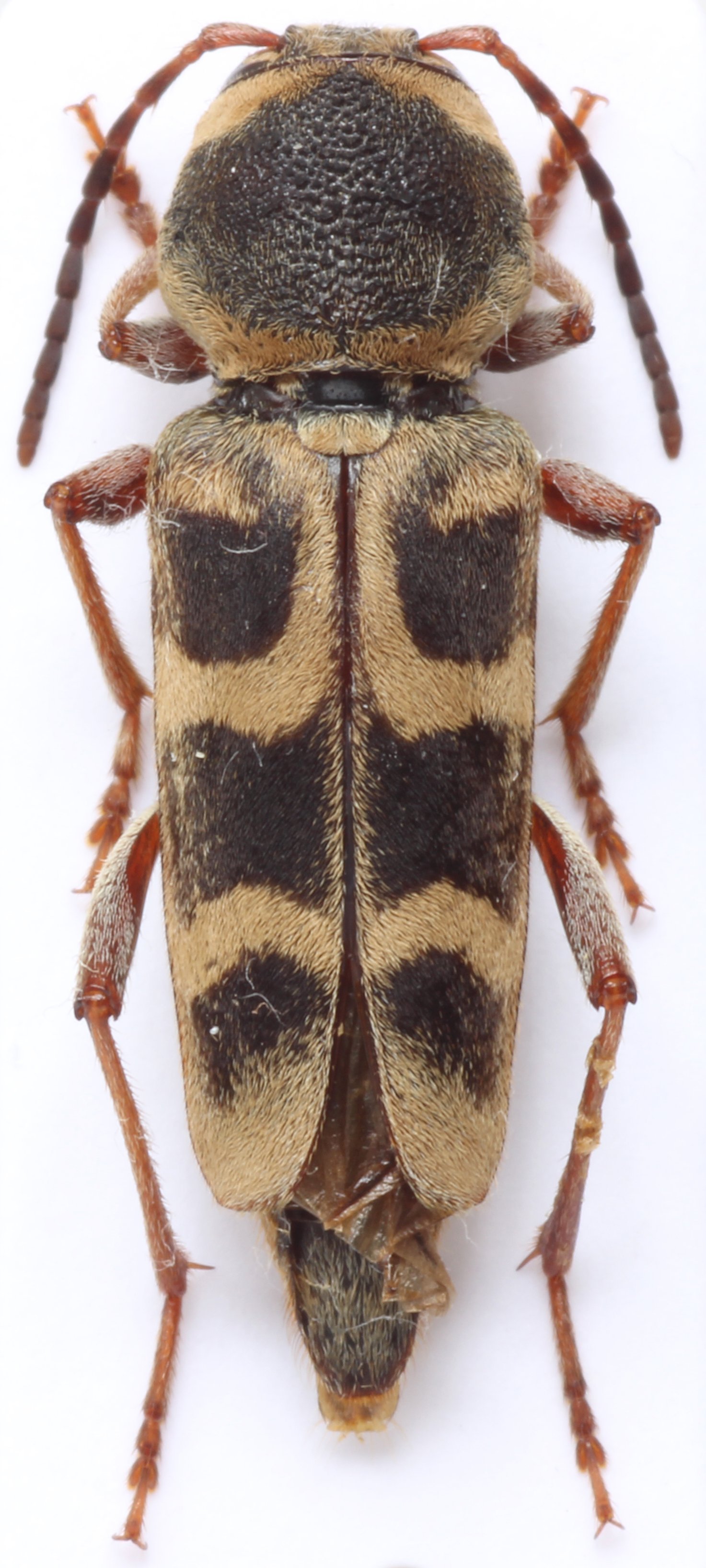
_Alten_Utah.jpg)
Specimen Type: paratype Sex: m Collection Location: Utah 42459
|
_Alten_Utah.jpg)
Specimen Type: paratype Sex: m Collection Location: Utah 42460
|
_Alten_Utah.jpg)
Specimen Type: paratype Sex: f Collection Location: Utah 42461
|
_Alten_Utah.jpg)
Specimen Type: paratype Sex: f Collection Location: Utah 42462
|
_Alten_Mill_Creek_San_Juan_Co_UT_Vlasak.jpg)
Sex: f Photographer: Josef Vlasak Collection Location: Mill Creek, San Juan County, Utah 68700
|
_Alten_Mill_Creek_San_Juan_Co_UT_Vlasak.jpg)
Sex: f Photographer: Josef Vlasak Collection Location: Mill Creek, San Juan County, Utah 68701
|
_Alten_Mill_Creek_San_Juan_Co_UT_Vlasak.jpg)
Sex: m Photographer: Josef Vlasak Collection Location: Mill Creek, San Juan County, Utah 68702
|