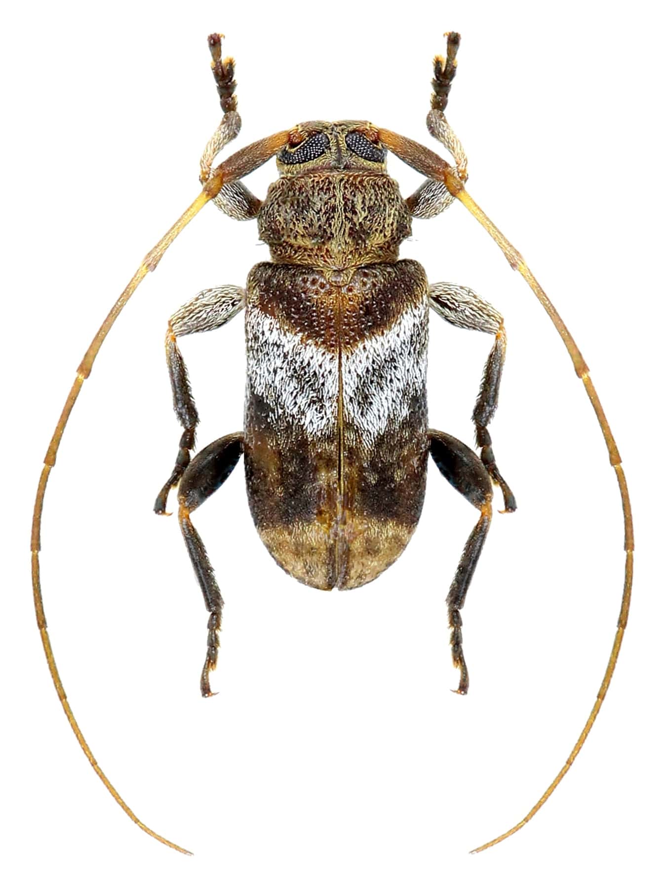
_Tava_MNHN_pk43_Piste_de_Kaw_Fr_Guiana.jpg)
Specimen Type: holotype Sex: m Institution: MNHN Museum of Natural History Paris, France Photographer: Gerard Tavakilian Collection Location: pk 43 Piste de Kaw, French Guiana 67983
|

Photographer: Frédéric Robin Collection Location: Montagne des Chevaux, French Guiana 79323
|