_Spinola_Turin_FTH.jpg)
Specimen Type: holotype Institution: Musée de Zoologie de Turin 15521
|

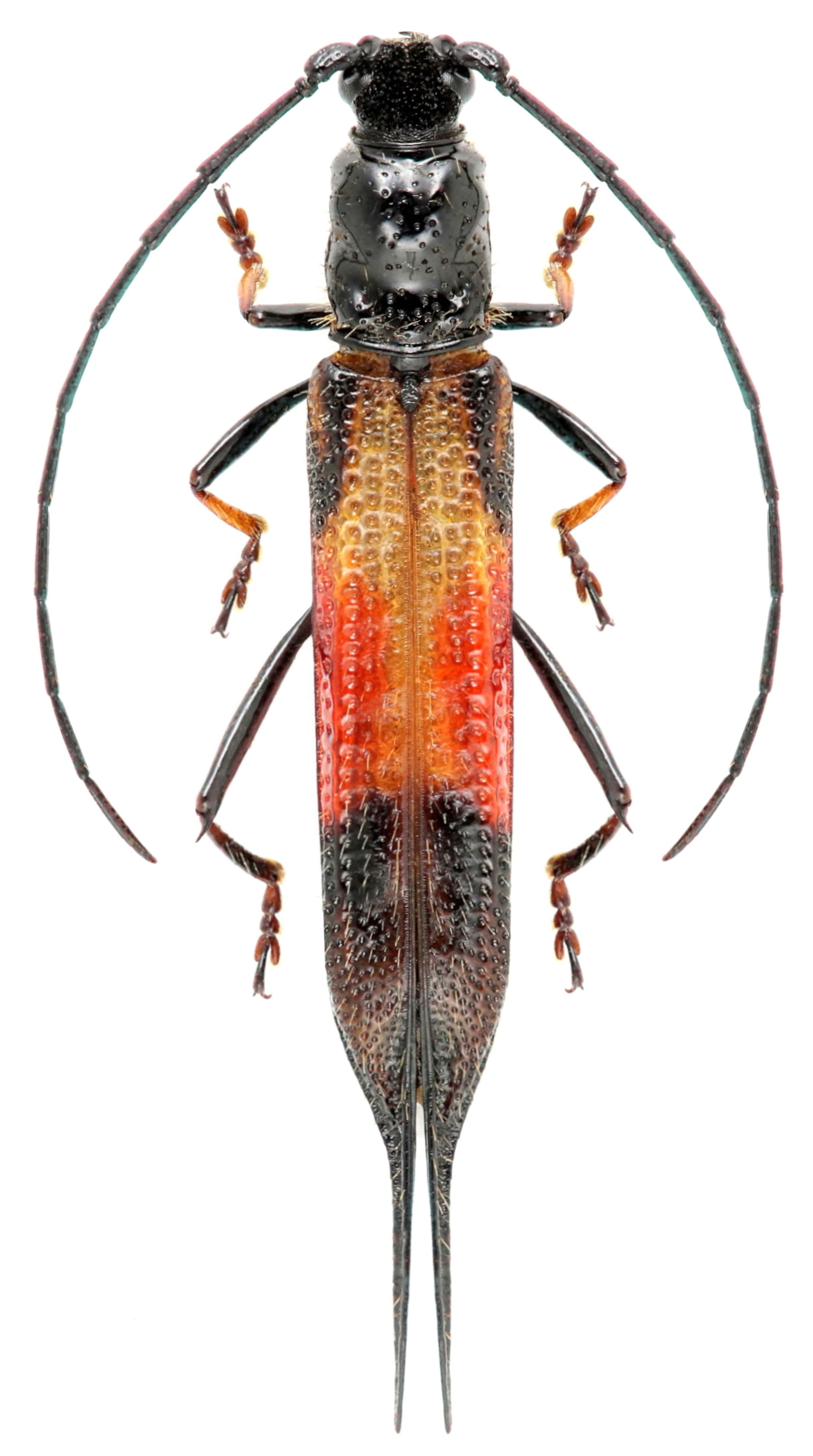
Institution: BMNH British Museum Natural History, London, UK Photographer: Henry Hespenheide Collection Location: Venezuela 15522
|
_Spinola_Turin_FTH.jpg)
Institution: BMNH British Museum Natural History, London, UK Collection Location: Venezuela 15523
|

Photographer: Frédéric Robin Collection Location: Montagne des Chevaux, French Guiana 5482
|
|