 Gardner Nilgiri Hills, 11km SE Kotagiri, Tamil Nadu, N India det Weigel JCPC LGB.jpg)
Sex: m Institution: JCPC Jim Cope Collection, San Jose, California, USA now at CSCA, Sacramento Photographer: Larry G. Bezark Determiner: Andreas Weigel Collection Location: Nilgiri Hills, 11km SE Kotagiri, Tamil Nadu, N India 99731
|
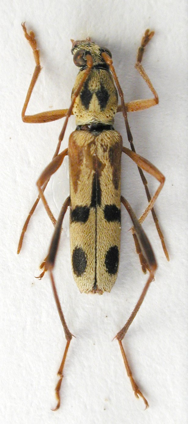
 Gardner Nilgiri Hills, 11km SE Kotagiri, Tamil Nadu, N India det Weigel JCPC LGB.jpg)
Sex: f Institution: JCPC Jim Cope Collection, San Jose, California, USA now at CSCA, Sacramento Photographer: Larry G. Bezark Determiner: Andreas Weigel Collection Location: Nilgiri Hills, 11km SE Kotagiri, Tamil Nadu, N India 99732
|