New Search Family, Subfamily and Tribe List

SubFamily Cerambycinae

Tribe Clytini
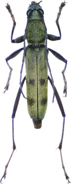
Rhaphuma luteopubens Pic 1937

Specimen Type: holotype © MNHN
Institution: MNHN Museum of Natural History Paris, France
Photographer: Xavier Gouverneur
Collection Location: Annam, S Vietnam
77278


Photographer: Meiying Lin
43052

130425