_Buquet_MNHN_FTH.jpg)
Specimen Type: holotype Institution: MNHN Museum of Natural History Paris, France Collection Location: Brazil 15696
|
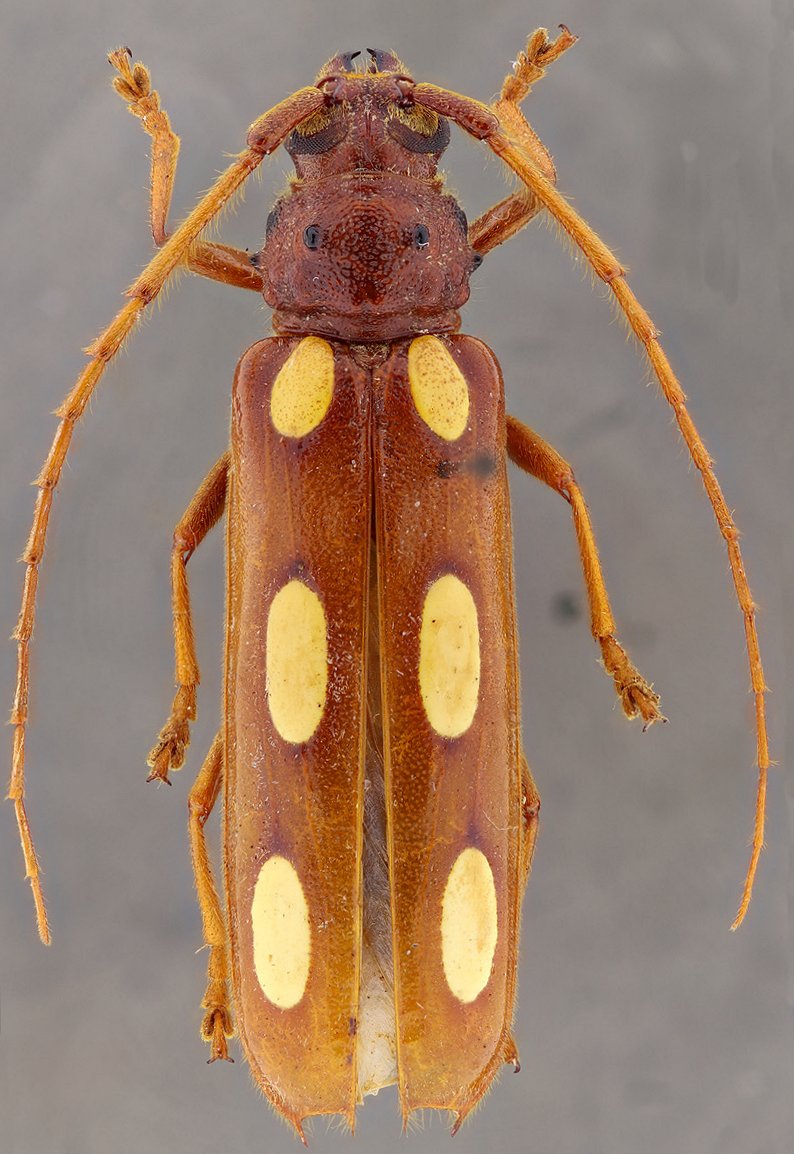
 Buquet MZSP Itatiatia, Rio de Janeiro, Brazil Botero pic.jpg)
Sex: f Institution: MZSP Museu de Zoologia da Universidade de São Paulo, Brazil Photographer: Juan Pablo Botero Collection Location: Itatiatia, Rio de Janeiro, Brazil 81149
|

Institution: UCB Essig Museum of Entomology, Berkeley, California, USA Photographer: Larry G. Bezark Determiner: Chemsak Collection Location: Bahia, Brazil 5790
|

Institution: MNRJ Museu Nacional Universidade do Rio Janeiro, Brazil Photographer: Marcela Monne Collection Location: Serro do Caraca, Minas Gerais, Brazil 62310
|
|