 Buquet MNHN Colombia Moure.jpg)
Specimen Type: holotype Institution: MNHN Museum of Natural History Paris, France Photographer: JS Moure Collection Location: Colombia 100544
|
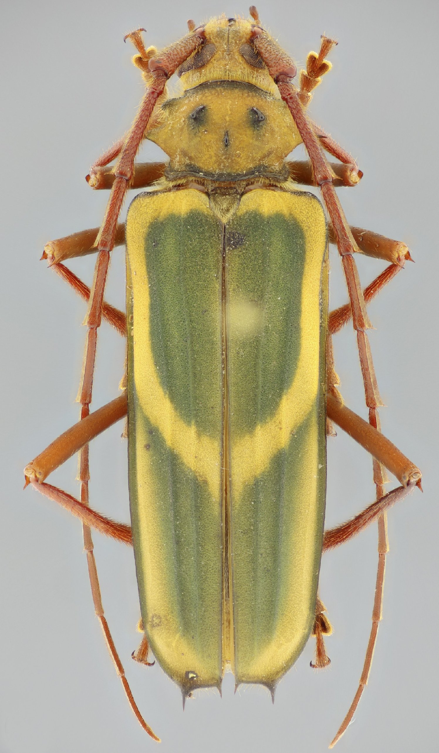
_Buquet_MNHN_FTH.jpg)
Specimen Type: holotype Institution: MNHN Museum of Natural History Paris, France Collection Location: Colombia 15564
|