 Buquet MNHN Colombia Moure.jpg)
Specimen Type: holotype Sex: m Institution: MNHN Museum of Natural History Paris, France Photographer: JS Moure Collection Location: Colombia 100541
|
_Buquet_MNHN_FTH.jpg)
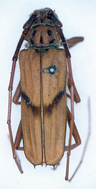
Specimen Type: holotype Sex: m Institution: MNHN Museum of Natural History Paris, France Photographer: Frank T. Hovore Collection Location: Colombia 15563
|