_Martins_and_Monne_MNRJ_SWL.jpg)
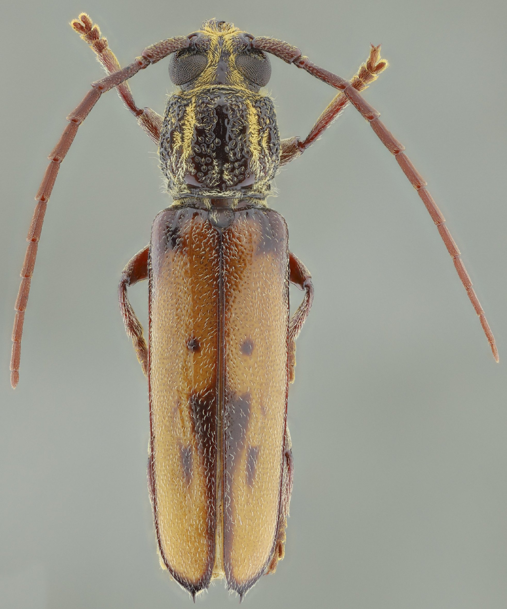
Specimen Type: holotype Sex: f Institution: MNRJ Museu Nacional Universidade do Rio Janeiro, Brazil Photographer: Steve Lingafelter Collection Location: Jutai (Br 319, km 369), Amazonas, Brazil 12463
|
 Mart Monne Ramirez San Juan de Polis, Rio Momon, Loreto, Peru SS.jpg)
Sex: m Institution: Ramirez Collection Photographer: Antonio Santos-Silva Collection Location: San Juan de Polis, Rio Momon, Loreto, Peru 100693
|