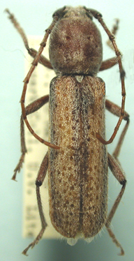
_Casey_USNM.jpg)
Specimen Type: holotype Sex: f Institution: NMNH United States National Museum, Washington, DC, USA Photographer: Steve Lingafelter Collection Location: El Paso, El Paso County, Texas 25648
|

Institution: LGBC Larry G. Bezark Collection, Sacramento, California, USA Photographer: Larry G. Bezark Collection Location: Organ Pipe Cactus National Monument, Pima County, Arizona 625
|