
Institution: MNRJ Museu Nacional Universidade do Rio Janeiro, Brazil Photographer: Marcela Monne Collection Location: Serro do Caraca, Minas Gerais, Brazil 62330
|

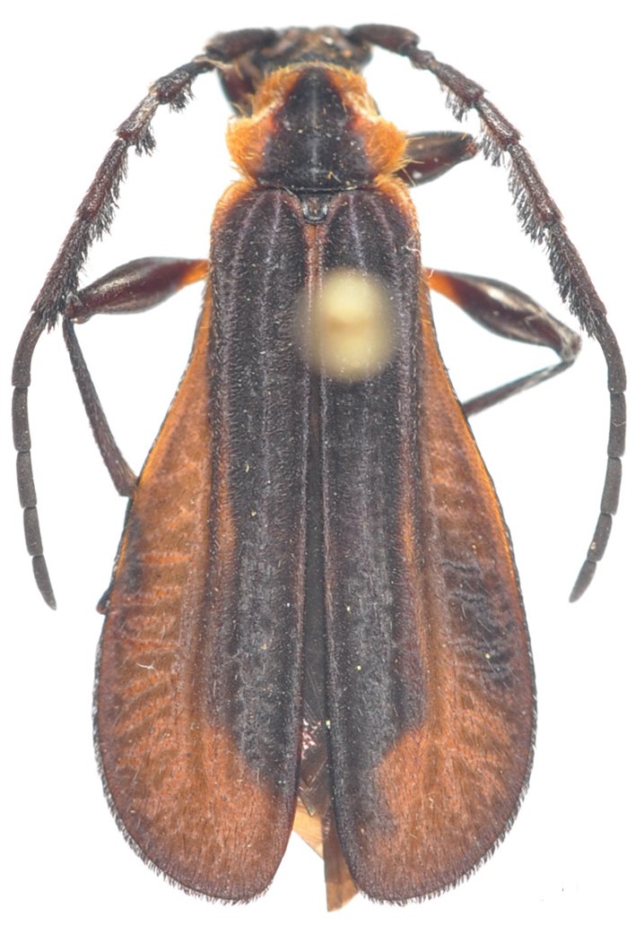
Institution: LGBC Larry G. Bezark Collection, Sacramento, California, USA Photographer: Larry G. Bezark Collection Location: Planaltina, Brasilia, Brazil 95782
|