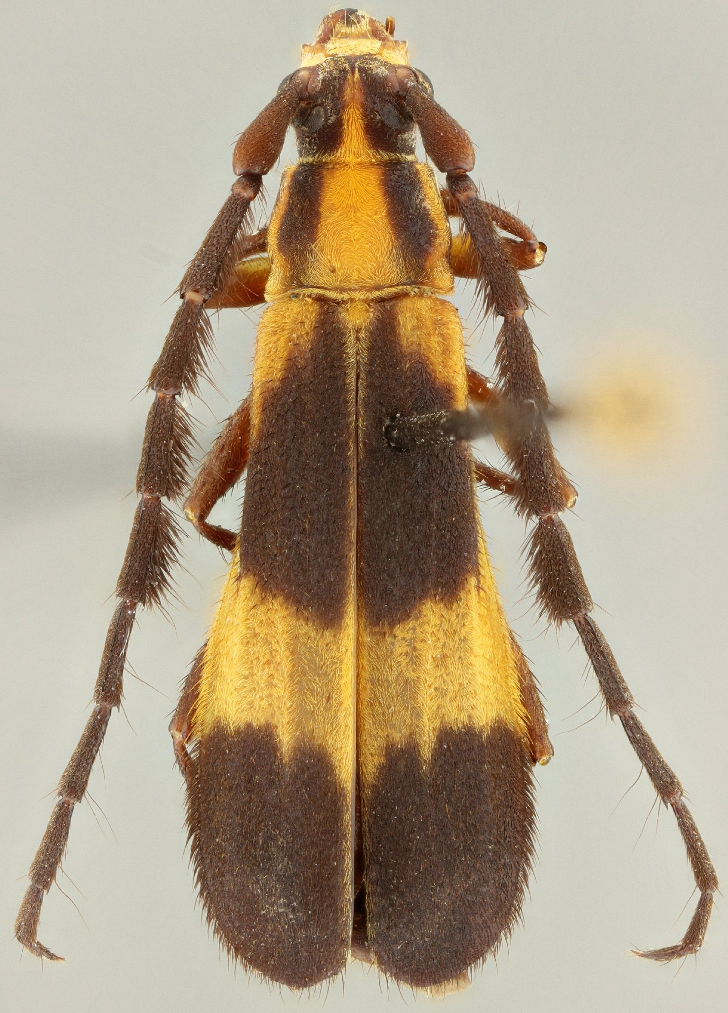
_White_BMNH_Puebla_Mexico_JS_Moure_now_Cosmoplat_bilineeat.jpg)
Pteroplatus sellatus White Specimen Type: holotype Institution: BMNH British Museum Natural History, London, UK Photographer: J S Moure Collection Location: Puebla, Mexico 18385
|
_Buquet_MIZT_Colombia_Marinella_Garzena_now_Cosmoplatidius.jpg)
Pteroplatus bilineatus Buquet Specimen Type: holotype Institution: MIZT University of Torino, Torino, Italy Photographer: Marinella Garzena Collection Location: Colombia 69613
|
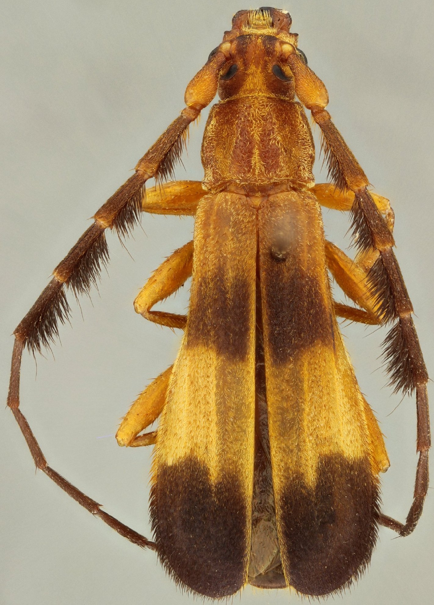
_White_BMNH_JAC_=_Cosmoplatidius.jpg)
Pteroplatus sellatus White Specimen Type: holotype Institution: BMNH British Museum Natural History, London, UK Photographer: John Chemsak Collection Location: Puebla, Mexico 18386
|
_Linsley_BMNH.jpg)
Cosmoplatidius ochraceus Linsley Specimen Type: holotype Sex: m Institution: BMNH British Museum Natural History, London, UK Photographer: John Chemsak Collection Location: Lake Sapatoza Region, Chiriguana, Colombia 6172
|
_(Buquet)_MZSP_La_Garita_Colombia_SS.jpg)
Sex: f Institution: MZSP Museu de Zoologia da Universidade de São Paulo, Brazil Photographer: Antonio Santos-Silva Collection Location: La Garita, Colombia 69654
|
_(Buquet)_MZSP_La_Garita_Colombia_SS.jpg)
Sex: f Institution: MZSP Museu de Zoologia da Universidade de São Paulo, Brazil Photographer: Antonio Santos-Silva Collection Location: La Garita, Colombia 69655
|
_(Buquet)_MZSP_Tunapuna_Trididad_SS.jpg)
Sex: f Institution: MZSP Museu de Zoologia da Universidade de São Paulo, Brazil Photographer: Antonio Santos-Silva Collection Location: Tunapuna, Trinidad 69650
|
_El_Salvador_LGB.jpg)
Photographer: Larry G. Bezark Collection Location: El Salvador 726
|
_CAS.jpg)
Institution: CAS California Academy of Sciences, San Francisco, CA, USA Photographer: Larry G. Bezark 6173
|
_FTH.jpg)
Institution: FTH Frank T. Hovore collection (now at California Academy of Sciences) Photographer: Larry G. Bezark 6174
|
_Santo_Domingo_Chiapas_Mexico_UCB_100091.jpg)
Institution: UCB Essig Museum of Entomology, Berkeley, California, USA Photographer: Larry G. Bezark Collection Location: Santo Domingo, Chiapas, Mexico 6175
|
_(Buquet)_MZSP_Colombia_SS.jpg)
Sex: f Institution: MZSP Museu de Zoologia da Universidade de São Paulo, Brazil Photographer: Antonio Santos-Silva Collection Location: Colombia 69651
|
_(Buquet)_MZSP_El_Cermeno_Panama_SS.jpg)
Sex: f Institution: MZSP Museu de Zoologia da Universidade de São Paulo, Brazil Photographer: Antonio Santos-Silva Collection Location: El Cermeno, Panama 69653
|