_Zajciw_MNRJ_SWL.jpg)
Specimen Type: holotype Sex: m Institution: MNRJ Museu Nacional Universidade do Rio Janeiro, Brazil Photographer: Steve Lingafelter Collection Location: Corcovado, Rio de Janeiro, Brazil 7477
|
_Zajciw_MZSP_SWL.jpg)
Specimen Type: paratype Institution: MZSP Museu de Zoologia da Universidade de São Paulo, Brazil Photographer: Steve Lingafelter 7478
|
_Zajciw_DZUP_Napp_and_Monne_Rio_de_Janeiro_Brazil_Iheringia.jpg)
Specimen Type: paratype Sex: m Institution: DZUP Univ Federal do Paraná, Museu de Ent Pe. Jesus Santiago, Moure, Curitiba, Paraná, Brazil Collection Location: Rio de Janeiro, Brazil 21322
|

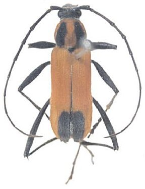
Institution: UCB Essig Museum of Entomology, Berkeley, California, USA Photographer: Larry G. Bezark Determiner: Chemsak Collection Location: Corcovado, Rio de Janeiro, Brazil 7479
|
|