_Komiya_and_De Keyzer_AMSA_100kmW_Cookstown_QLS_Aust.jpg)
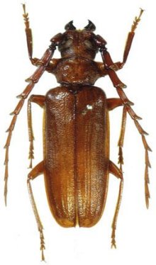
Specimen Type: holotype Sex: m Institution: Komiya Collection Determiner: Special Pub. Japanese Society of Scarabaeoidology Collection Location: 100 km W Cookstown, Queensland, Australia 45914
|
_Komiya_and_De Keyzer_AMSA_100kmW_Cookstown_QLS_Aust.jpg)
Specimen Type: holotype Sex: m Institution: Komiya Collection Determiner: Special Pub. Japanese Society of Scarabaeoidology Collection Location: 100 km W Cookstown, Queensland, Australia 45915
|