_Audureau_AACP_Muzo_region_Boyaca_Colombia_600.jpg)
Specimen Type: holotype Sex: f Institution: AAPC Alain Audureau Private Collection Collection Location: Muzo region, Boyaca, Colombia 39385
|
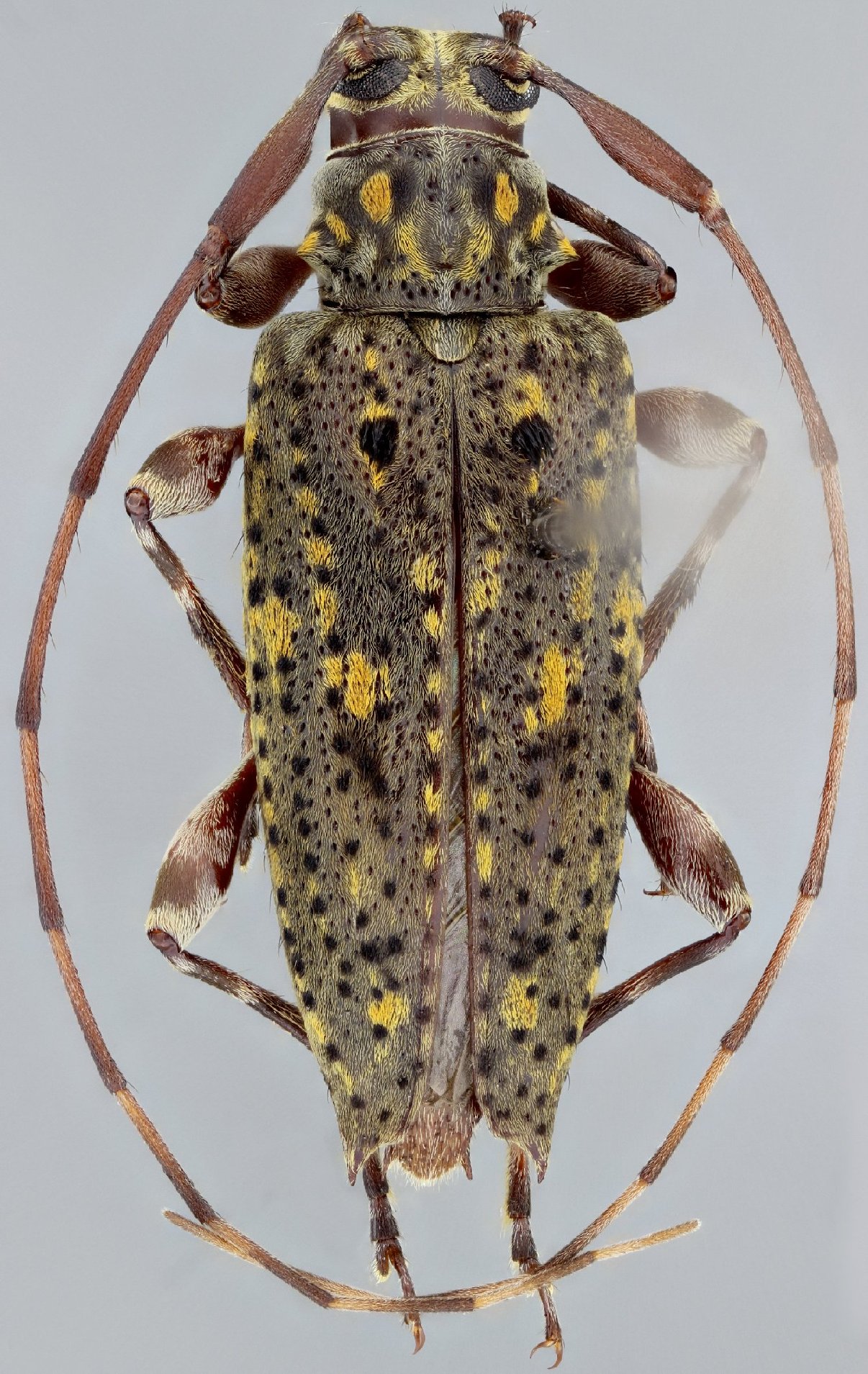
_Audureau_MZSP_road_Granada-Soacha_El_Soche_Cundin_Col_SS.jpg)
Sex: f Institution: MZSP Museu de Zoologia da Universidade de São Paulo, Brazil Photographer: Antonio Santos-Silva Collection Location: road from Granada-Soacha to El Soche, Cundinamarca, Colombia 69012
|