_Yamasako_et_al_EUMJ_Ban_Saluei_Mt_Phou_Phan_Houa_Phan_prov_Laos.jpg)
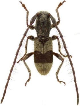
Yimnashana wakaharai Yamasako, Hasegawa & Ohbayashi Specimen Type: holotype Sex: m Institution: EUMJ Entomology laboratory, Ehime University Museum, Matsuyama, Japan Determiner: Acta Entomologica Musei Nationalis Pragae Collection Location: Ban Saluei, Mt Phou Phan, Houa Phan Province, Laos 66976
|
_Yamasako_et_al_EUMJ_Ban_Saluei_Mt_Phou_Phan_Houa_Phan_prov_Laos.jpg)
Yimnashana wakaharai Yamasako, Hasegawa & Ohbayashi Specimen Type: holotype Sex: m Institution: EUMJ Entomology laboratory, Ehime University Museum, Matsuyama, Japan Determiner: Acta Entomologica Musei Nationalis Pragae Collection Location: Ban Saluei, Mt Phou Phan, Houa Phan Province, Laos 66977
|