New Search Family, Subfamily and Tribe List

SubFamily Cerambycinae

Tribe Stenopterini
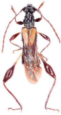
Merionoeda johkii Yokoi & Niisato 2012

Specimen Type: holotype
Sex: m
Institution: NMST National Science Museum (Nat. Hist.), Tokyo, Japan
Determiner: Elytra, Tokyo
Collection Location: Sepilok, Sabah, Borneo
52460

130425