New Search Family, Subfamily and Tribe List

SubFamily Cerambycinae

Tribe Clytini
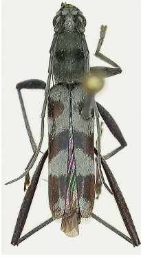
Demonax longipedis Dauber 2012

Specimen Type: holotype
Sex: f
Institution: Heffern Collection
Photographer: Dan Heffern
Collection Location: Mt Trus Madi, Sabah, Borneo
49191

130425