_MonneMonne_JW.jpg)
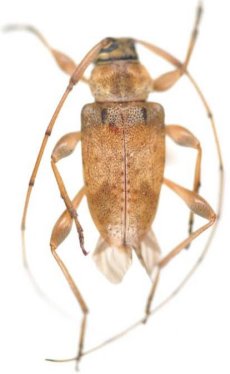
Specimen Type: holotype Sex: m Institution: MNKM Museo de Hist Nat Noel Kempff Mercado Santa Cruz de la Sierra, Bolivia Photographer: Jim Wappes Collection Location: 4-6 km SSE Buena Vista, Flora & Fauna Hotel 42616
|
_Monne_and_Monne_MNKM_4-6kmSSE_Buena_Vista_Hotel_F_and_F.jpg)
Specimen Type: holotype Sex: m Institution: MNKM Museo de Hist Nat Noel Kempff Mercado Santa Cruz de la Sierra, Bolivia Collection Location: 4-6 km SSE Buena Vista, Flora & Fauna Hotel 37193
|