New Search Family, Subfamily and Tribe List

SubFamily Cerambycinae

Tribe Eburiini
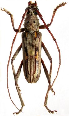
Eburia lanigera costaricensis Martins & Galileo 2012

Specimen Type: holotype
Sex: m
Institution: MIUC Museu do Insectos, Universidad de Costa Rica, San Jose
Collection Location: Playa Matapalo Hotel, Guanacaste, Costa Rica
36722

130425