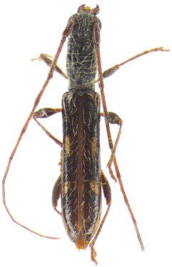
_Mart_and_Galil_MNKM_4kmN_Bermejo_Ref_Los_Volcanes_Florida_SC_Bol.jpg)
Specimen Type: holotype Sex: f Institution: MNKM Museo de Hist Nat Noel Kempff Mercado Santa Cruz de la Sierra, Bolivia Collection Location: 4km N Bermejo, Refugia Los Volcanes, Florida Prov, Santa Cruz, Bolivia 34851
|

Photographer: Jim Wappes Collection Location: Bolivia 42157
|