_Clarke_MNKM_5kmSSE_Buena_Vista_SC_Bol.jpg)
Specimen Type: holotype Sex: m Institution: MNKM Museo de Hist Nat Noel Kempff Mercado Santa Cruz de la Sierra, Bolivia Collection Location: 5 km SSE Buena Vista, Santa Cruz, Bolivia 33805
|
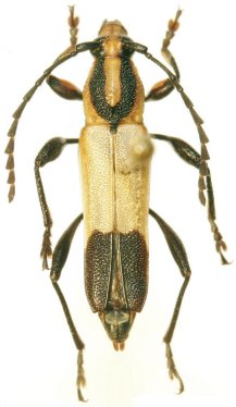
_Clarke_5kmSSE_Buena_Vista_SC_Bol.jpg)
Specimen Type: paratype Sex: f Collection Location: 5 km SSE Buena Vista, Santa Cruz, Bolivia 33804
|