New Search Family, Subfamily and Tribe List

SubFamily Cerambycinae

Tribe Tropidini Neoibidionina
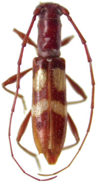
Compsibidion maculatum Martins, Galileo & Oliveira 2011

Specimen Type: holotype
Sex: f
Institution: MZSP Museu de Zoologia da Universidade de São Paulo, Brazil
Collection Location: Carolina Cachoeira Pedra Caila, Maranhao, Brazil
30824

130425