New Search Family, Subfamily and Tribe List

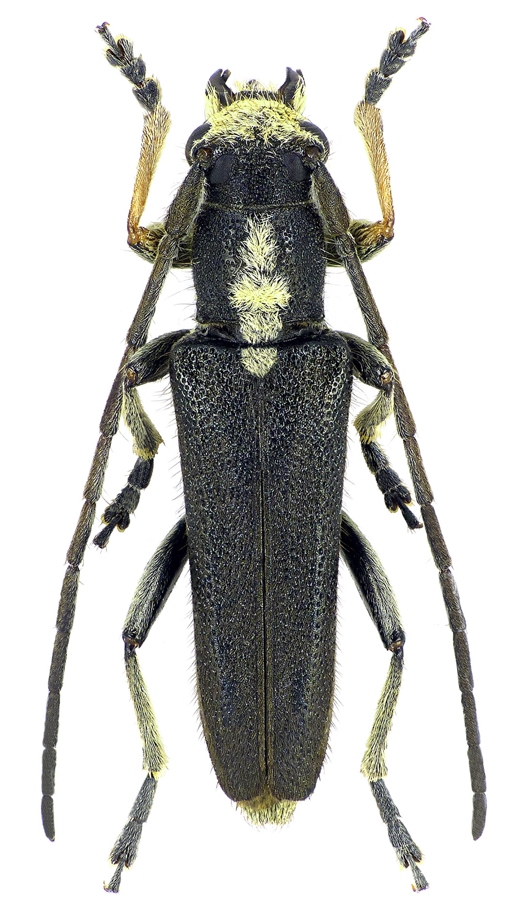
SubFamily Lamiinae

Tribe Saperdini
Phytoecia shokhini Kasatkin 2010

Photographer: Navratil & Hoskovec
Collection Location: Munzur Valley, vic Tunceli, Turkey
81817


Institution: LGBC Larry G. Bezark Collection, Sacramento, California, USA
Photographer: Larry G. Bezark
Collection Location: Tunceli, Turkey
49507

130425